Leverkusen: Waldschabe sorgt für Verwechslungen
Veröffentlicht: Dienstag, 29.08.2023 10:44
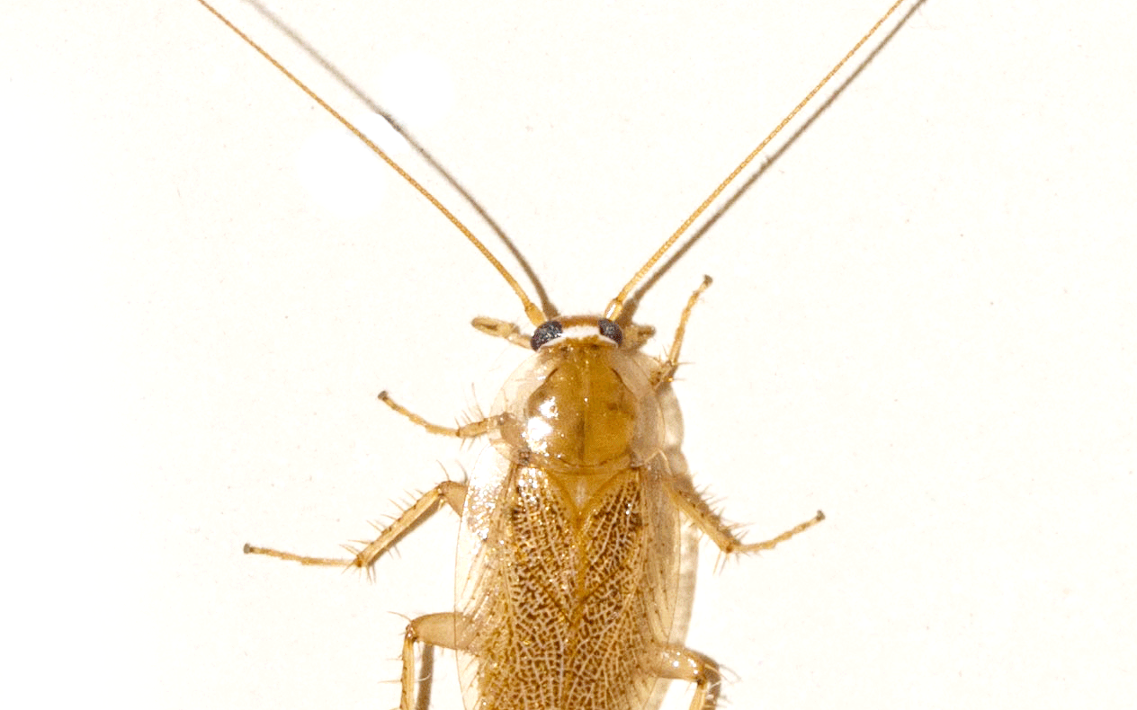
In vielen Haushalten bei uns in der Stadt gibt es aktuell ungebetene Gäste: Die Waldschabe breitet sich seit längerem in der Region aus. Dabei wird das ungefährliche Insekt immer wieder mit Schädlingen wie Bettwanzen und anderen Kakerlaken verwechselt.

Deswegen suchen die Menschen bei uns in der Stadt aktuell vermehrt professionelle Hilfe. Das bestätigen die Leverkusener Schädlingsbekämpfer auf unsere Nachfrage. Deren Einsatz ist wegen der Waldschabe aber eigentlich nicht erforderlich, es genüge, die Waldschaben eigenständig vor die Tür zu setzen. Sollte es sich bei den Insekten doch um schädliche Arten wie Bettwanzen handeln, sollen Betroffene sich an zertifizierte Schädlingsbekämpfer wenden, um das Problem nachhaltig loszuwerden.
Mehr Meldungen aus Leverkusen
Betreuungskosten in Leverkusen verändern sich